9 mars 2026 - Mettons les points sur les i - Épisode 17
Stopper les opérations de logements engagées avec l’EPF comme le souhaite le groupe Michel Blanc ? Attention à la facture pour les Barbentanais et au déséquilibre social de l'habitat pour le village.
Le groupe Michel Blanc annonce vouloir stopper l’ensemble des projets d’aménagement menés avec l’EPF.
Jean-Christophe Daudet explique très clairement ce que cela entraînerait, chiffres à l’appui.
1) Une conséquence immédiate : payer et encore payer.
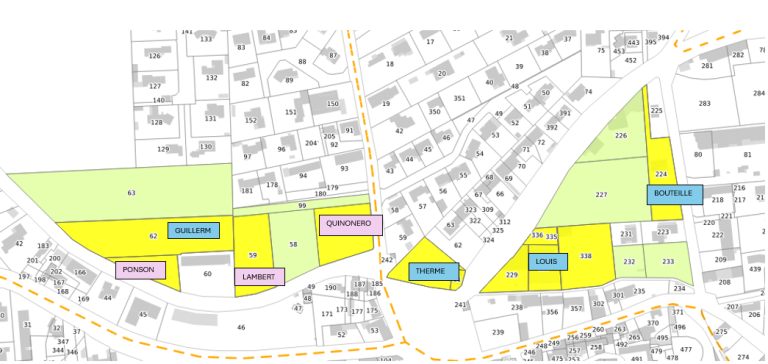
L’EPF a déjà acheté des parcelles pour environ 3,6 M€ (Bourdin : 480 000 €, îlot Carrière/Pierre-Joseph Louis : 1 950 000 €, etc.).
Si la commune décide de stopper ces opérations, elle devra rembourser. Autrement dit : mettre fortement la main au portefeuille… avec un impact direct sur sa capacité d’investissement, et sur les impôts.
2) Un mandat “plombé” dès le départ. Il rappelle aussi qu’avec 3,6 M€ à racheter, plus des promesses telles que requalifier Rampale (~1,5 M€) ou réhabiliter l’église (~2,5 M€), on arrive très vite à un mandat financièrement “consommé” en investissements, et que toutes les nombreuses autres promesses du groupe de Michel Blanc ne pourront pas être réalisées.
3) Et un risque majeur : perdre la maîtrise des attributions et du pourcentage du nombre de logements sociaux
Même si la commune rachetait pour “ne rien faire” ou proposait l’opération à un privé, l’État peut préempter et décider de réaliser du logement social à 100 % sur ces terrains, avec une maîtrise totale des attributions qui échapperait au maire.
Jean-Christophe Daudet cite des exemples concrets, dans d’autres communes, pour montrer que ce n’est pas de la “politique fiction”.
Bref : Des conséquences désastreuses !
9 mars 2026 - Mettons les points sur les i - Épisode 17
Stopper les opérations de logements engagées avec l’EPF comme le souhaite le groupe Michel Blanc ? Attention à la facture pour les Barbentanais et au déséquilibre social de l'habitat pour le village.
Le groupe Michel Blanc annonce vouloir stopper l’ensemble des projets d’aménagement menés avec l’EPF.
Jean-Christophe Daudet explique très clairement ce que cela entraînerait, chiffres à l’appui.
1) Une conséquence immédiate : payer et encore payer.
L’EPF a déjà acheté des parcelles pour environ 3,6 M€ (Bourdin : 480 000 €, îlot Carrière/Pierre-Joseph Louis : 1 950 000 €, etc.).
Si la commune décide de stopper ces opérations, elle devra rembourser. Autrement dit : mettre fortement la main au portefeuille… avec un impact direct sur sa capacité d’investissement, et sur les impôts.
2) Un mandat “plombé” dès le départ. Il rappelle aussi qu’avec 3,6 M€ à racheter, plus des promesses telles que requalifier Rampale (~1,5 M€) ou réhabiliter l’église (~2,5 M€), on arrive très vite à un mandat financièrement “consommé” en investissements, et que toutes les nombreuses autres promesses du groupe de Michel Blanc ne pourront pas être réalisées.
3) Et un risque majeur : perdre la maîtrise des attributions et du pourcentage du nombre de logements sociaux
Même si la commune rachetait pour “ne rien faire” ou proposait l’opération à un privé, l’État peut préempter et décider de réaliser du logement social à 100 % sur ces terrains, avec une maîtrise totale des attributions qui échapperait au maire.
Jean-Christophe Daudet cite des exemples concrets, dans d’autres communes, pour montrer que ce n’est pas de la “politique fiction”.
Bref : Des conséquences désastreuses !
5 mars 2026 - Mettons les points sur les i - Épisode 16
Rampale / Saint-Joseph : STOP AUX INTOX, place aux faits.
Le groupe Michel Blanc affirme qu’il stoppera les projets d'aménagement de Rampale et du secteur du rond-point Saint-Joseph. Jean-Christophe Daudet remet les faits à plat, chiffres et dossiers à l’appui.
D’abord, stop aux fantasmes : des centaines de logements sociaux, c’est complètement faux. Rampale, c’est 48 logements, et la ligne est assumée : faire du logement social avec pragmatisme, en maîtrisant rythme, densité et attributions en priorité pour les Barbentanais.
Côté îlot Carrière / Saint-Joseph, c’est 210 logements estimés dont 40% de logements sociaux (soit environ 85), avec une part en bail réel solidaire.
Il rappelle que ces orientations n'en sont qu'au stade de projets et qu'aucune réalisation ne se fera durant le mandat à venir, car l'EPF est encore en phase d’acquisitions. Or, le foncier est complexe à obtenir. En outre, la loi SRU peut très bien évoluer dans les prochaines années.
Et un point important : en 2021, un projet sur l’îlot Carrière, émanant d’un des propriétaires, proposait 90 logements dont 50 % de logements sociaux en R+2, et il a reçu l’assentiment de l’opposition. Jean-Christophe Daudet se dit être “perplexe”, car l’opposition semble donner son assentiment aux projets en fonction de qui les présente.
Vous trouverez ci-joint l'extrait du conseil municipal auquel il est fait référence.
20 Février 2025 - Mettons les points sur les i - Épisode 15
LOI SRU : NON, Barbentane ne peut pas prétendre à une exemption “comme Graveson”. C’est impossible !!
Le groupe Michel Blanc laisse entendre que Barbentane pourrait être dispensée de la loi SRU, “comme Graveson”.
Dans cette vidéo, Jean-Christophe Daudet remet les choses au clair, calmement, avec des critères précis.
Oui, des dérogations existent… mais elles sont strictement encadrées : elles concernent notamment les communes dont plus de 50 % des zones urbanisées/urbanisables sont rendues inconstructibles par des plans de prévention des risques (inondation ou feux de forêt).
C’est le cas de Graveson, Rognonas et Tarascon.
Mais pas Barbentane, qui est à environ 35 % !
Même avec le futur PPRIF, la réalité du terrain est rappelée : les secteurs potentiellement concernés ne suffiraient pas à combler l’écart.
Regardez l’épisode : ici, pas de promesses faciles : des règles, des faits, et du concret.
10 février 2025 - Mettons les points sur les i - Épisode 14
‼️⚠️ Campagne des municipales : Nos adversaires continuent à VOUS MANIPULER en vous intoxiquant de fausses nouvelles. ‼️⚠️ (merci à vous tous, chers lecteurs, de partager afin de mettre en lumière ces agissements)
😡 Ce matin, un candidat officiel de la liste de Michel Blanc a négligemment posté sur le compte « Tu es de Barbentane » l’information suivante : « L’arrachage de centaines d’oliviers au tennis s’approche…Il y assurément une autre solution pour préserver ce site exceptionnel » et y a ajouté deux photos.
Cette information est purement et simplement un mensonge ! 😤
Nous remercions les administrateurs du site de l’avoir logiquement enlevée. Nous avons pu néanmoins faire une capture d’écran pour démontrer sa véracité.
👉 L’équipe municipale en place a déjà expliqué à de multiples reprises (« Du haut de la tour de décembre 2024 », réunion publique du 8 octobre 2024, lors de différents conseils municipaux) qu’à cet emplacement, la nouvelle crèche de Barbentane va se construire et que vingt oliviers vont effectivement être déplacés pour être replantés ensuite dans une oliveraie communale.
Quant au dossier Rampale, que nous avons déjà présenté plusieurs fois notamment en réunion publique, il ne s’agira pas de constructions de HLM mais de 48 logements au maximum en R+1 dont 28 en accession libre et 8 en accession sociale à la propriété.
😠 Nous constatons amèrement que malgré nos différents appels pour débattre de façon sereine et apaisée devant tous les Barbentanais qui ont fait l’objet d’un refus de nos adversaires, de l’effacement des commentaires sur leur compte Facebook de campagne qui peuvent leur apporter la contradiction, ces derniers continuent d’utiliser les procédés les plus infâmes pour vous manipuler.
⚠️⚠️ Dernière minute ! Le groupe Michel blanc vient de poster sur le sujet de la crèche et annonce que « plusieurs barbentanais nous interpellent depuis ce matin au sujet du chantier de la crèche » et comme par hasard, ce sont les mêmes photos qui illustrent ce post et celui de ce matin.
La ficelle est un peu grosse. On allume le feu le matin et on souffle sur les braises l’après-midi.
😡 Nous désapprouvons complètement ces méthodes et le fait que nos adversaires mentent aux barbentanais et laissons le soin à ces derniers de les juger d’un point de vue moral et démocratique.
8 Février 2025 - Mettons les points sur les i - Épisode 13
💰 L'endettement sous Michel Blanc et nos projets structurants !
⚠️ Endettement : Désolé mais quand on tord les faits… on finit par avoir tort. Alors qui dit vrai ?
Le débat à la salle des fêtes que je lui ai proposé ayant été refusé par Michel Blanc, je me vois donc contraint de continuer à réaliser ces vidéos pour préciser, compléter et apporter des éléments de réponses objectifs et vérifiables aux affirmations la plupart du temps erronées du groupe de Michel Blanc.
Michel Blanc justifie qu'il a endetté la commune “pour réaliser l’école, l’EHPAD et restaurer une partie du centre ancien ”… et que depuis 2018, mon équipe n'aurait mené “aucun projet structurant”. C’est une façon partielle et partiale de présenter les choses.
Oui, bien sûr qu'une commune emprunte pour investir.
Mais la capacité d'investissement d'une commune dépend également et surtout de ses capacités d'autofinancement.
Quelques repères très concrets :
- À l’époque, centre ancien + groupe scolaire : 7,8 M€ d’opérations réalisées pour 3.1 M d'€ d'emprunt souscrits.
Sur le mandat 2020–2026 : 7,9 M€ d’investissements réalisés, avec 543 000 € d’emprunt seulement.
- Et surtout : l’EHPAD n’a pas été financé par la commune et son permis de construire a été déposé en 2015 et délivré en 2016, donc après 2014. Autrement dit, l'endettement de la commune sous Michel Blanc n'est absolument pas lié à la construction de l'EHPAD.
Dans cette vidéo, pas d’effets de manche : des preuves concrètes, et une question simple : qui dit vrai ?
Regardez l’épisode “Les Points sur les i”
7 février 2025 - Mettons les points sur les i - Épisode 12
⚠️ Édition spéciale à partager avec modération 😉
Aujourd’hui, pas de caméra : juste du texte. Parce que certaines situations méritent d’être analysées clairement.
Quand le débat se dérobe, il reste une chose : les faits. Et cette semaine, deux faits en disent long. Très long.
Je réponds à la question : Que retenez-vous comme événements marquants du déroulement de la campagne des municipales au cours de la semaine écoulée ?
"J’en retiens surtout deux :
🔴 En premier lieu, c’est le refus total de M. Michel Blanc de débattre devant tous à la salle des fêtes.
Or, le débat est le principe même de la démocratie et comme le disait Churchill :
"En démocratie, refuser le débat est une façon polie de dire qu’on a peur de ses propres arguments.»
🔴 En second lieu, c’est la décision du groupe de Michel Blanc d’instaurer de la modération sur sa page Facebook.
Je le cite : « Nous souhaitons ici des échanges courtois et respectueux (…) ce qui n’empêche pas des échanges contradictoires. (…) Nous ne tolérons pas de propos irrespectueux ».
Après la prolifération de faux comptes, de commentaires totalement intempestifs et calomnieux, je ne pourrai que me féliciter d’une telle initiative si elle n’aboutissait pas dans les faits à effacer sur leur compte tous les commentaires respectueux mais qui ne vont pas dans leur sens, comme nous avons pu le constater plusieurs fois dans les derniers jours.
De ce double constat navrant, j’en déduis que Michel Blanc refuse le débat et la contradiction en face à face.
Chaque Barbentanaise et chaque Barbentanais pourra en tirer toutes les conclusions d’un point de vue démocratique. "
31 Janvier 2025 - Mettons les points sur les i - Épisode 11
Le groupe de Michel Blanc affirme que le conseil municipal n’aurait pas eu les informations nécessaires sur la garantie d’emprunt.
Ils mélangent tout, déforment la réalité… C’est faux.
Les élus ont bien reçu les éléments, dont la lettre de Grand Delta Habitat, et le processus est clair : il s’agit d’abord d’un accord de principe, puis d’une seconde délibération après consultation de la banque.
Autre point essentiel : une garantie d’emprunt, ce n’est pas un emprunt. La commune n’emprunte pas 800 000 € : elle garantit l’emprunt.
Et puisqu’on parle de cohérence : le groupe d’opposition a déjà voté deux garanties d’emprunt sur le mandat, pour 1,4 M€, toujours avec Grand Delta Habitat.
Enfin, entre 2001 et 2014, quand Michel Blanc était adjoint aux finances, la dette a été multipliée par 10… alors qu’elle a été réduite ces dernières années.
Dans cette vidéo, on explique simplement, chiffres et documents à l’appui, et rappelle l’objectif : permettre 20 accessions à la propriété, en priorité pour des jeunes couples, parce que l’avenir de Barbentane, c’est aussi sa jeunesse.
Lien vers la vidéo du conseil municipal : https://www.facebook.com/share/v/1Bhpv24ojg/
25 Janvier 2025 - Mettons les points sur les i - Épisode 10
Les travaux de la place du marché et de la salle des fêtes.
Encore une fausse nouvelle et de la manipulation… ça continue et ça en devient lassant. Les Barbentanais méritent mieux.
Le groupe de Michel Blanc annonce que les travaux autour de la place du marché et des abords de la salle des fêtes “ représentent un coût global de 2,74 M€ pour les administrés subvention départementale comprise”.
Faux et archi-faux : Oui, le coût global de l’opération est d’environ 2,7 M€ HT… mais celle-ci bénéficie non seulement de 1,65 million d’euros de subventions et en plus son emprise dépasse largement le cadre des travaux actuels pour s’étaler de la requalification de la route départementale des pieds tanqués jusqu’au chemin des écoles et à la rue des pères de l’observance. Pourtant, ce n’est pas faute de l’avoir abordé à plusieurs reprises au sein du conseil municipal.
Dans ce nouvel épisode des “Points sur les i”, Jean-Christophe Daudet remet les chiffres à l’endroit, et explique surtout à quoi servent ces travaux : circulation plus fluide, stationnement, cheminements piétons/vélos, halle revalorisée, jeux d’eau, désimperméabilisation… du concret.
23 Janvier 2025 - Mettons les points sur les i - Épisode 9
On copierait le programme ! 😂
Cette campagne devient inventive… mais il faut revenir aux faits.
L’opposition explique qu’elle tarde à annoncer son programme parce que, la dernière fois, “ses idées auraient été reprises”.
Jean-Christophe Daudet répond très simplement : si c’était vrai, ça n’aurait aucun sens d’être vent debout aujourd’hui
Alors on fait ce qu’on fait de mieux : de la transparence.
On publie les professions de foi de 2020 des deux candidats, ici et sur le site, pour que chacun puisse comparer et lever le voile sur ceux qui vous mentent
19 Janvier 2025 - Mettons les points sur les i - Épisode 8
Rampale et terrains Bourdin : on explique encore une fois !
Jean-Christophe Daudet répond aux critiques affirmant que le projet de logements à Rampale dégraderait le point de vue depuis le moulin de Bretoule. En se rendant sur place, il montre concrètement le panorama visible depuis le moulin et rappelle qu’aucune construction de Rampale n’entre dans ce champ de vision.
L’épisode revient également sur les terrains Bourdin : cinq pavillons auraient pu y être construits si la commune n’avait pas exercé son droit de préemption en 2020. Cette décision a été prise pour éviter ces constructions et préserver le paysage autour du moulin.
La vidéo explique enfin que l’opposition municipale s’est récemment opposée à l’usage du droit de préemption urbain, ce qui, s’il n’existait pas, aurait rendu impossible cette protection et permis la construction des cinq pavillons.
14 Janvier 2025 - Mettons les points sur les i - Épisode 7
Fiscalité : remettre les faits au centre.
On entend beaucoup de choses sur les impôts à Barbentane. Dans cette vidéo, je remets les faits à plat, calmement.
Oui, les impôts ont augmenté : une décision assumée, prise dans un contexte exceptionnel (crises, inflation, pénalités SRU, incendies…), pour préserver l’épargne de la commune, continuer à investir et entretenir le village.
Et malgré cela, Barbentane reste parmi les communes les moins imposées du secteur.
Le vrai enjeu, maintenant, c’est de réduire la pression sur les ménages en renforçant nos recettes grâce au développement économique (zone d’activité, entreprises, emplois).
Enfin, je rappelle aussi quelques chiffres sur la gestion passée, pour que chacun puisse se faire une opinion éclairée.
23 Décembre 2025 - Mettons les points sur les i - Épisode 6
Distribution de la lettre de candidature : les faits
Jean-Christophe Daudet répond aux accusations affirmant que la distribution de sa lettre de candidature serait illégale. Il rappelle que cette lettre a été distribuée par des élus et des bénévoles sur leur temps personnel, sans intervention d’agents municipaux, et qu’elle a été intégralement financée sur ses fonds propres, facture d’imprimeur à l’appui. Il revient en détail sur le cadre réglementaire, la manière dont la distribution a été organisée et les raisons pour lesquelles aucune règle n’a été enfreinte.
22 Décembre 2025 - Mettons les points sur les i - Épisode 5
Commerces à Barbentane : stop aux faux semblants.
Dans cet épisode de « Mettons les points sur les i », Jean-Christophe Daudet répond à l’affirmation selon laquelle « les commerces ferment à Barbentane ». Oui, certains commerces ont fermé, mais des réouvertures sont déjà programmées, 18 établissements ont été créés en 2024 et l’activité économique progresse. La vidéo replace ces éléments dans leur contexte et montre, chiffres à l’appui, que le commerce barbentanais est loin de l’image déclinante qu’on voudrait lui coller.
20 Décembre 2025 - Mettons les points sur les i - Épisode 4
Stade de Rampale
Jean-Christophe Daudet revient sur le projet de logements à Rampale, au cœur du débat communal. Il rappelle que le classement constructible du stade et des terrains Bourdin a été voté à l’unanimité, Michel Blanc compris, et explique pourquoi il n’est plus possible aujourd’hui de « ne rien faire ».
La vidéo détaille les enjeux réels : respecter les obligations légales en matière de logement, éviter des pénalités financières pour la commune et permettre à des familles barbentanaises de continuer à vivre au village, en préservant nos écoles, nos commerces et nos services.
Un choix assumé : vérité, responsabilité et intérêt général.
19 Décembre 2025 - Mettons les points sur les i - Épisode 3
Loi SRU : ce que nous avons fait pour Barbentane
Dans cette vidéo, Jean-Christophe Daudet explique comment la loi SRU, qui impose des objectifs de logements sociaux, s’applique à Barbentane et ce que la municipalité a négocié pour protéger le village :
- éviter les lourdes pénalités financières et garder la main sur les attributions de logements ;
- privilégier des opérations maîtrisées localement, avec une densité adaptée ;
- permettre à des jeunes ménages barbentanais de rester au village et de faire vivre nos services, nos écoles et nos commerces.
Un cap assumé : défendre Barbentane avec bon sens et constance, loin des promesses faciles.
16 Décembre 2025 - Mettons les points sur les i - Épisode 2
🔴👎On vous dit : « On va rénover les 210 logements vacants grâce aux subventions. »
🟢👍Voici les faits : depuis 2022, un accompagnement opérationnel est déjà déployé via Terre de Provence Agglomération. Des rénovations sont programmées et réalisées, y compris à Barbentane (presbytère, immeuble Fontaine). Pourquoi ça n’avance pas plus vite ? Parce que les aides publiques vont avec des contreparties qui rendent le modèle peu attractif pour de nombreux propriétaires. Avec Mon parti, c’est Barbentane, nous travaillons au réel : données, méthodes, résultats. Quand d’autres se contentent d’une promesse, nous ouvrons les dossiers et faisons avancer les solutions utiles aux Barbentanais.
15 Décembre 2025 - Mettons les points sur les i - Épisode 1
« Les quartiers d’Avignon vont débarquer à Barbentane »
Nombre d’entre vous ont eu connaissance de cette affirmation du groupe de Michel Blanc 2026 au début de leur campagne. Elle est tout simplement fausse. Dans cet épisode, je vous explique clairement :
- Ce que dit vraiment le droit et qui décide de quoi en matière d’attribution de logements sociaux ?
- Ce qui est possible et ce qui ne l’est pas,
- Ce que nous faisons concrètement tous les jours pour Barbentane avec du bon sens et des faits vérifiables.
Les Barbentanaises et Barbentanais méritent une info claire, posée et honnête afin de se faire une opinion en toute connaissance de cause. C’est tout l’objet de cette série !














































